HK Electric, one of the world’s longest-established power companies, is responsible for electric production, transmission, and distribution, serving almost 600,000 customers in Hong Kong. The company has a world-class record of providing a highly reliable electricity supply to Hong Kong and Lamma islands at a reasonable and affordable price. To support the development of renewable energy in Hong Kong, HK Electric has commissioned the city’s first commercial-scale wind power station, “Lamma Winds,” and the 1 MW solar power system inside Lamma Power Station. Thus, HK Electric is heavily invested in its energy transition and grid modernization efforts.
Challenge
Decarbonization has resulted in the need to expand and modernize its electrical network. In addition, additional capacity is crucial due to the expansion of high-density office and residential high-rise buildings. Hong Kong is a high-density area, the 4th densest in the world. The service territory is a mix of rocky ground and reclaimed land. Building new electric facilities is tough, particularly for high-voltage transmission lines in the hills without jeopardizing traffic. Finally, the infrastructure is old. The average age of the assets exceeds 70 years.
To truly modernize, the company recognized a need for new technology to meet the challenges today and in the future. One such technology, GIS, needed revitalization. The company had previously relied on a heavily customized legacy GIS system developed over 25 years, which posed significant challenges in maintaining and adapting to modern smart grid requirements due to its complexity and unique functionalities.
The presentation and visualization of data are other major challenges. HK Electric has a dense underground network infrastructure and a stringent operation process that interfaces with external parties like the government. As a result, the legacy GIS system had unique graphic attributes and annotation presentations that must be highly preserved. The demand for accurate positioning of graphic representation and attributes posed challenges to migration and performance.
Solution
Due to the challenges posed by grid modernization and the need for a modern network management technology, HK Electric, under the directive of its Project Steering Committee (PSC), decided to migrate to a standard, sustainable GIS environment with minimal customization. The ArcGIS Utility Network, particularly its open data model from the Utility Network Community (UNC), provided the framework for this transition. This new model replaced many custom-built functionalities, simplifying the system while preserving the accuracy and detail required for Hong Kong Island’s dense underground network.

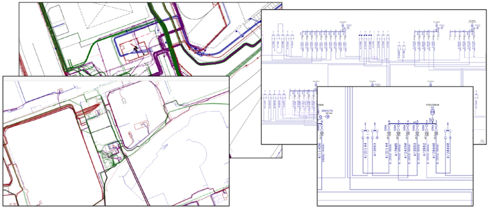
The ArcGIS Utility Network Provides Schematic and Geographic Representations of the Same Network.
HK Electric uses the ArcGIS Utility Network for designs and as-build documentation. By default, project designs are drawn as schematics, 1000 meters over sea level. After commissioning, the z-coordinates were changed, final adjustments were made to reflect as-built, and a geographic representation was created. The company wanted to discern how the grid would look on a given day in the past, present, and future. Creating future states, the solution leveraged non-portable branch versions, representing all designs belonging to the desired project type, planned for execution for a particular date. The solution involved implementing an IEC Standard Common Information Model (CIM) Adaptor to export the data as CIM standard files to Siemens PSS Sincal, which provides advanced network simulations.
“The degree of customization to implement the planning has drastically reduced, hence, largely improved the long-term sustainability and reduced the total cost of ownership of the solution,” Senior Manager (Data & Emerging Technology) Chris Poon.
Partners
The project was undertaken through a collaborative effort between HK Electric and two Esri partners: Similix and D&C Consulting, a subsidiary of Kinetix. D&C was responsible for the overall project implementation, including migration, function, and system integrations. Similix delivered integration tools and the CIM adaptor for migration and integration, and it designed and configured the support for advanced planning.
Results
HK Electric now has a modern, services-based GIS architecture with APIs and SDKs, allowing HK Electric and its choice of partners to extend functionality for future requirements. The GIS has an open data model from UNC (Utility Network Community), which Esri adopted and is available for download from the Esri Solutions site. The open data model enabled HK Electric to build on best practices while extending the model to accommodate customer and market-specific needs to meet HK Electric’s grid modernization needs and challenges. Providing a modern network management model enabled the company to transition methodically and effectively. The solution provided the visualization required by the company for its collaboration and coordination with the various stakeholders.
Integration tools enabled HK Electric to continuously configure new integrations and thus increase the value of GIS data. Thus, HK Electric has products and standards-based support for advanced planning and a future-proof GIS platform.
“Working with HK Electric has been very interesting due to their innovative mindset and expertise within the electric domain and IT. HK Electric and Similix share the same ambition: Implementing a GIS with a services-based, open architecture, a data model reflecting best practices, and product-based and configurable integrations based on international standards. HK Electric now has a GIS that can grow along with future requirements.” Signe Bramming Andersen, Director of Business Development, Similix.
In a Nutshell
Challenge
HK Electric, serving nearly 600,000 customers in Hong Kong, faces significant challenges due to its aging infrastructure, decarbonization goals, and the increasing demand for high-density developments. Their heavily customized legacy GIS system, over 25 years old, made it difficult to meet modern smart grid requirements and adapt to evolving operational needs.
Solution
HK Electric transitioned to a modern, sustainable GIS environment using Esri’s ArcGIS Utility Network to address these challenges. The migration also incorporated the IEC Standard CIM Adaptor to integrate advanced network simulations, improving long-term sustainability and reducing total ownership costs.
Partner
HK Electric partnered with Esri, Similix, and D&C Consulting to implement projects, migrate, and integrate systems. Similix contributed to key migration and integration tools, including the CIM adaptor, while D&C handled overall project execution.
Result
HK Electric now has a modern, flexible GIS platform supporting advanced planning, stakeholder collaboration, and future-proof operations. This new system aligns with international standards, enhancing sustainability and long-term cost efficiency.